KÜLFÖLD Horrorisztikus dolgot művelt az autópályán egy sofőr, videóra vették Nem ritka, hogy hajmeresztő dolgokat művelnek a balfék sofőrök az autópályákon, ám most videó is készült az egyik ilyen hajmeresztő manőverről.
BIZARR 2019. 09. 10. Véletlenül oldotta meg a 27 éves rejtélyes eltűnési ügyet a tini A fiatal egy tavon csónakázott, amikor a kameráján valami furcsaságra lett figyelmes.
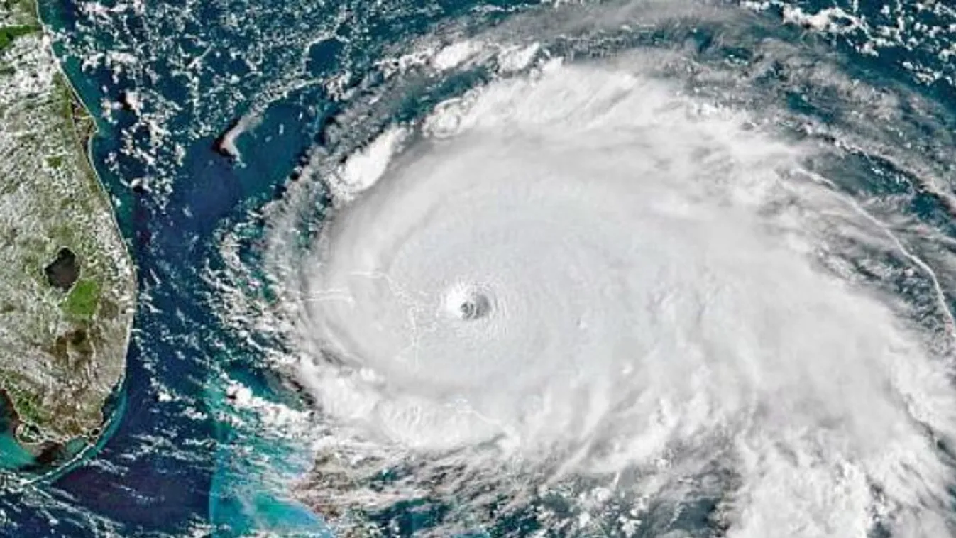
KÜLFÖLD 2019. 09. 08. Súlyos balesetet okozott a hurrikán Kanadában, egy toronydaru omlott össze! - videó Sokan azt gondolták, amíg északra ér, a Dorian sokat gyengül, de nem így történt.
KÜLFÖLD 2019. 09. 08. Tovább pusztít Dorian, szigeteket tett semmivé Elérte Kanadát a Dorian hurrikán, az eső és az óceán szigeteket öntött el.
KÜLFÖLD 2019. 08. 21. Gyászhírt közölt a zenekar: álmában támadta meg a medve a zeneszerzőt A férfit és társát a sátrukban támadta meg az állat, majd egyiküket az erdőbe vonszolta.
POLITIK 2019. 08. 16. Szabadon ölhetek! Ali három katonát is leszúrt, de nem ítélték el Három éve húzódik a muszlim férfi ügye, aki azért akart ölni, mert a kanadai katonák muzulmán országokban is tevékenykednek. Most két napos eltávozásokra mégis elengedik.
KÜLFÖLD 2019. 07. 23. Hihetetlen módon éltek vissza a sztár arcképével, ezt akarták elérni A sármos színész arcképével készített valaki hamis személyit és valami meglepőt akart venni a segítségével.
SZTÁRDZSÚSZ 2019. 07. 20. Hihetetlen fotó: Politikussal zenélt a magyar világsztár A politikust és a világhírű orgonaművészt sokéves barátság köti össze. Most a világ másik felén találkoztak és ha már így alakult...
TÜZELŐÁLLÁS 2019. 07. 16. Két nap alatt óriásit fordult a világ a magyar lányokkal Második meccsén már gólt is kapott a pólóválogatott a világbajnokságon. Csütörtökön a csoportelsőség lesz a tét.
A NAP KÉPE 2019. 05. 24. Micsoda élmény! Bakancslistás álma teljesült Kiss Gergely vízilabdázónak Régi vágya vált valóra az egykori pólós klasszisunknak, aki a szlovákiai jégkorong-világbajnokságról jelentkezett be.