
KÜLFÖLD
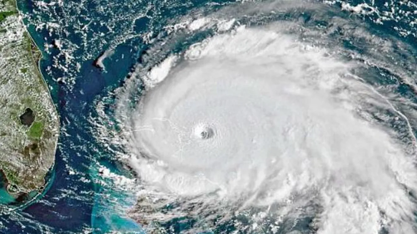
Sokan azt gondolták, amíg északra ér, a Dorian sokat gyengül, de nem így történt.
Kanadában is komoly pusztítást okoz a Dorian. Tegnap érkezett meg Halifax és környékére a hurrikán, ami letarolta a várost.
Egy toronydarut is kicsavart, ami rá is omlott egy másik épületre. Szerencsére a toronyházban még nem laktak, így nem sérült meg senki sem.
Portfóliónk minőségi tartalmat jelent minden olvasó számára. Egyedülálló elérést, országos lefedettséget és változatos megjelenési lehetőséget biztosít. Folyamatosan keressük az új irányokat és fejlődési lehetőségeket. Ez jövőnk záloga.